Skip to Main Content
Create a Website Account
- Manage notification subscriptions, save form progress and more.
Website Sign In
Government
Services
Community
How Do I...
Search
Home
Government
Departments
Planning & Zoning
Development Review Information
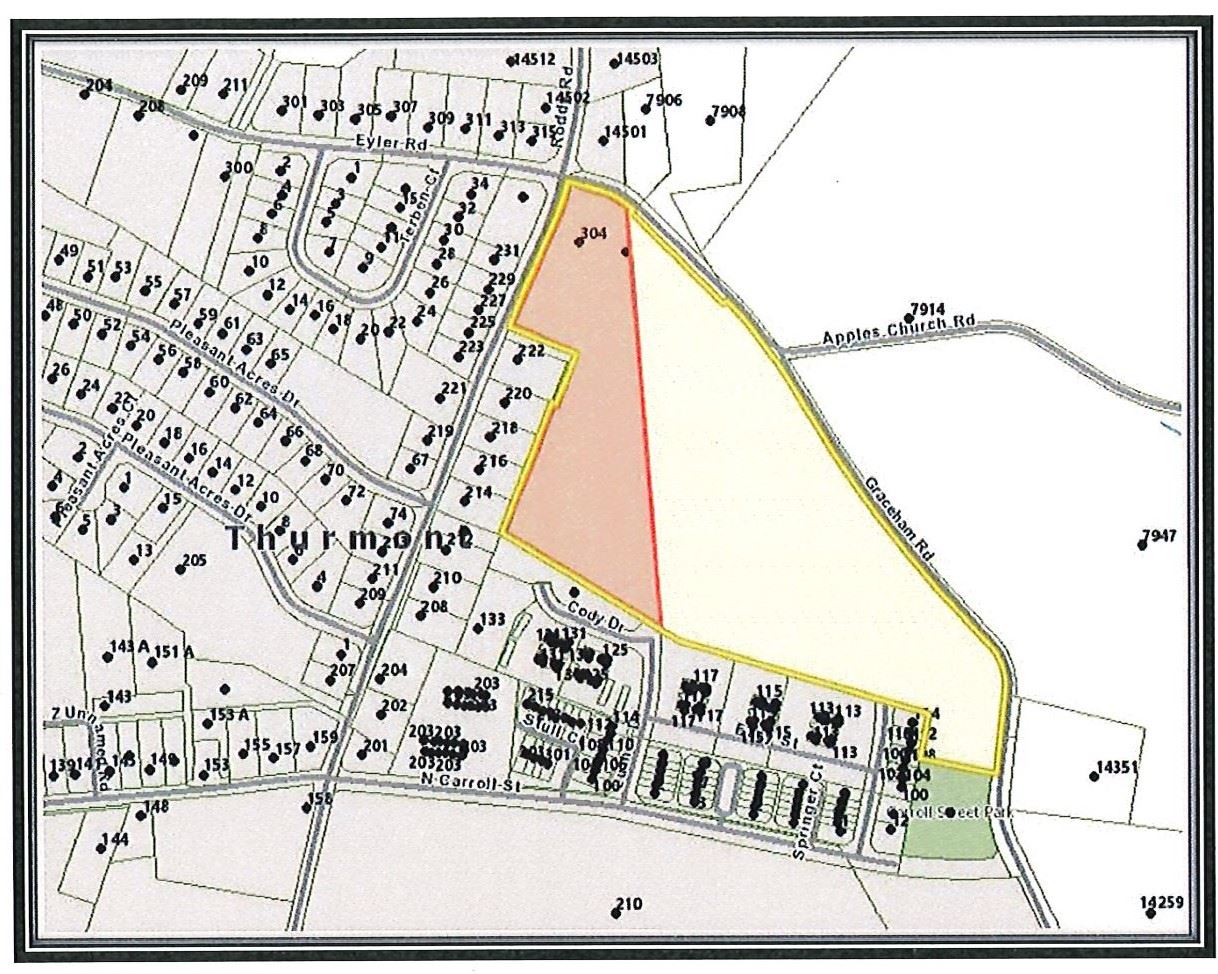
Simmers Property - 304 Apples Church Road (7.79 Acres In Town R-5 Development) - Cross & Company
Simmers Property - 304 Apples Church Road (7.79 Acres In Town R-5 Development) - Cross & Company
3/23/2023 - Planning Commission Meeting - Concept Plan
Meeting Video and Minutes with Attachments
Mountain Brooke Development - Emmitsburg Road
Leal Homes LLC Development - Eyler Road
Mechanicstown LLC - 122 Emmitsburg Road
Simmers Property - 304 Apples Church Road (7.79 Acres In Town R-5 Development) - Cross & Company
Hammaker Hills II - Fink Property - Westview Drive - DR Acquisitions
Michael & Holly Late - Located between 210 and 302 East Main Street - 2 Unit Duplexes
52 East Moser Road - Townhouse Development - Mountain Gate Business Park
Thurmont Business Park Access Road - East of Goodwill
Agendas & Minutes
FAQs
Report a Concern
Municipal Codes
Online Bill Pay
Forms
Government Websites by
CivicPlus®
Loading
Loading
Arrow Left
Arrow Right
[]
Slideshow Left Arrow
Slideshow Right Arrow